Copyright: ©Author(s) 2026.
World J Gastrointest Surg. Mar 27, 2026; 18(3): 112405
Published online Mar 27, 2026. doi: 10.4240/wjgs.v18.i3.112405
Published online Mar 27, 2026. doi: 10.4240/wjgs.v18.i3.112405
Figure 1 Illustrates the data processing and identification of differentially expressed genes.
A: A heatmap displaying the sample-to-sample correlation. The diabetes group displayed a stronger intra-group correlation compared to the control group; B: A volcano plot generated using the limma R tool, showcasing all the differentially expressed genes in both the control and diabetes groups.
Figure 2 Functional and pathway enrichment.
A: Gene Ontology enrichment analysis showing significant enrichment in blood microparticle, primary lysosome, azurophil granule, and vacuolar lumen; B: Molecular function analysis displaying enrichment in endopeptidase inhibitor activity, peptidase inhibitor activity, endopeptidase regulator activity, and peptidase regulator activity.
Figure 3 Functional and pathway enrichment analyses were performed on the gene set enrichment analysis results.
A: Enrichment in lymphoid cell-related pathways; B: Enrichment in non-lymphoid cell-related pathways; C: Wiki pathways analysis showing extrafollicular B cell activation by severe acute respiratory syndrome coronavirus 2 (SARS-CoV-2); D: Wiki pathways analysis displaying network map of SARS-CoV-2 signaling pathway; E: Kyoto Encyclopedia of Genes and Genomes pathway analysis revealing enrichment in cytokine-cytokine receptor interaction and chemokine signaling pathway.
Figure 4 The extent of AP-induced intestinal injury was found to be positively correlated with Dachengqitang in mice.
A-C: Hematoxylin and eosin staining showed milder injury in mice treated with Dachengqitang (DCQT); D-I: Immunofluorescence analysis revealed a significant decrease in the intestinal injury marker following 24 hours of AP treatment; J and K: Furthermore, the protein expression of occludin and ZO-1 notably increased post-DCQT treatment, as illustrated in the immunofluorescence images. aP < 0.05. A-I features a scale bar of 50 μm. DCQT: Dachengqitang.
Figure 5 In vivo experiments have demonstrated that clearance of macrophages can improve intestinal function and the integrity of the epithelium.
A: Histological examination staining showing intestinal morphology in Control group; B: In Control group, immunofluorescence staining displaying ZO-1 expression in intestinal tissues; C: In Control group, immunofluorescence staining showing CD86 expression; D: Histological examination staining showing intestinal morphology in SAP group; E: In SAP group, immunofluorescence staining displaying ZO-1 expression in intestinal tissues; F: In SAP group, immunofluorescence staining showing CD86 expression; G: Histological examination staining showing intestinal morphology in SAP model treated with DCQT (SAP + DCQT) group; H: In SAP + DCQT group, immunofluorescence staining displaying ZO-1 expression in intestinal tissues; I: In SAP + DCQT group, immunofluorescence staining showing CD86 expression; J: Histological examination staining showing intestinal morphology in SAP + DCQT + CI group; K: In SAP + DCQT + CI group, immunofluorescence staining displaying ZO-1 expression in intestinal tissues; L: In SAP + DCQT + CI group, immunofluorescence staining showing CD86 expression; M: Quantitative analysis of ZO-1 fluorescence intensity; N: Quantitative analysis of CD86 fluorescence intensity. SAP significantly decreased ZO-1 expression and increased CD86 expression, while DCQT treatment restored ZO-1 levels and reduced CD86 expression. aP < 0.05. DCQT: Dachengqitang.
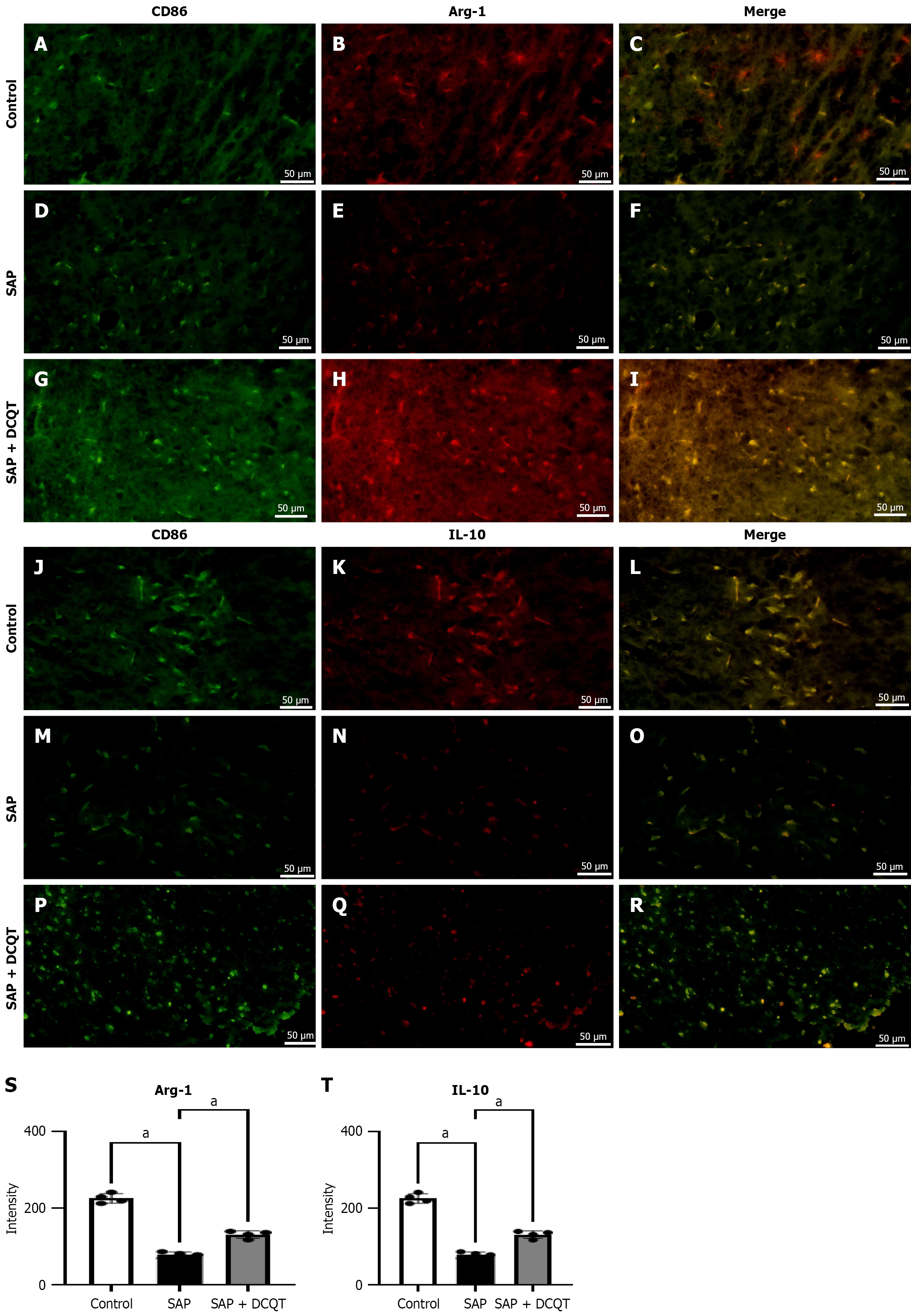
Figure 6 In vivo studies have shown that Dachengqitang leads to the upregulation of Arg-1 and IL-10.
A-J: Immunofluorescence staining showing Arg-1 expression in intestinal tissues across control, diabetes, and Dachengqitang (DCQT) treatment groups; K-T: Immunofluorescence staining displaying IL-10 expression levels across different experimental groups. Diabetes induction significantly decreased Arg-1 and IL-10 fluorescence intensity, while DCQT treatment restored their expression levels DCQT. The images are accompanied by a scale bar of 50 μm. aP < 0.05. DCQT: Dachengqitang.
Figure 7 In vitro models demonstrated that oxygen-glucose deprivation inhibits injury to the intestinal epithelium.
A-C: Immunofluorescence staining showing decreased Occludin expression following OGD treatment; D-F: Immunofluorescence staining displaying reduced ZO-1 expression after OGD treatment; G: DCQT administration restored Occludin fluorescence intensity in OGD group; H: DCQT treatment improved ZO-1 fluorescence intensity in OGD group. aP < 0.05. Scale bar: 50 μm. OGD: Oxygen-glucose deprivation; DCQT: Dachengqitang.
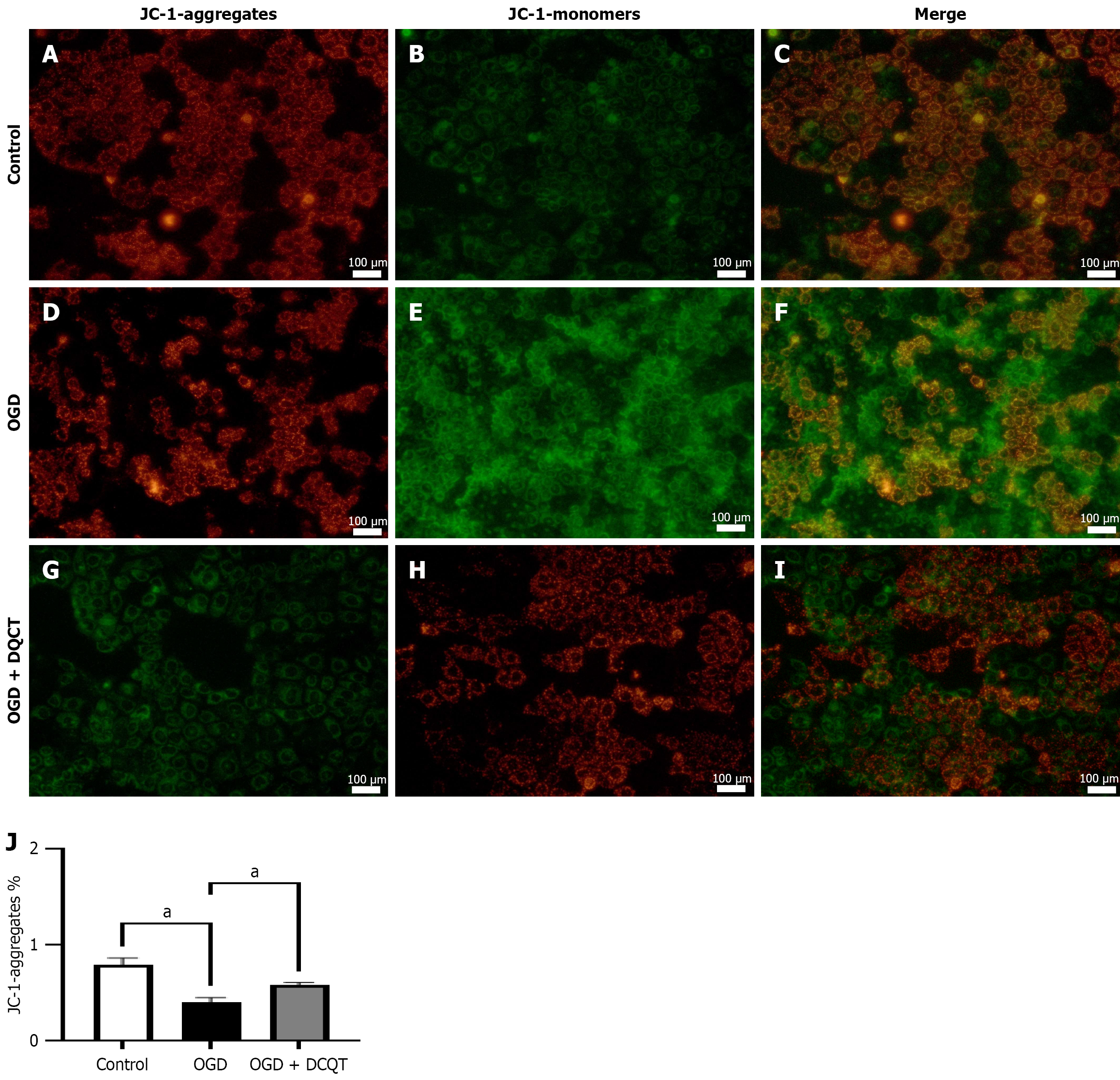
Figure 8 Dachengqitang induces mitochondrial impairment in Caco-2 cells in vitro.
A-C: Mitochondrial membrane potential imaging in Control group after JC-1 staining; D-F: Mitochondrial membrane potential imaging in oxygen-glucose deprivation (OGD) group after JC-1 staining; G-I: Mitochondrial membrane potential imaging in Dachengqitang (DCQT) treatment group after JC-1 staining. Figure showing mitochondrial membrane potential across three groups; J: DCQT protects against OGD-induced mitochondrial membrane potential loss. DCQT treatment significantly reduced JC-1 monomer formation and improved mitochondrial membrane potential compared to OGD treatment alone. aP < 0.05. OGD: Oxygen-glucose deprivation; DCQT: Dachengqitang.
- Citation: Zheng L, Wang J, Xu MQ, Jiang W, Qian L, Ge Y, Feng MK, Zhu YM, Wang MJ, Sun SS, Liu CK, Wang XM, Zhang C. Dachengqitang mitigates endoscopic retrograde cholangiopancreatography-induced pancreatitis. World J Gastrointest Surg 2026; 18(3): 112405
- URL: https://www.wjgnet.com/1948-9366/full/v18/i3/112405.htm
- DOI: https://dx.doi.org/10.4240/wjgs.v18.i3.112405
